Preoperative counseling

This is the front picture taken during the preoperative design consultation with the consent of the patient.
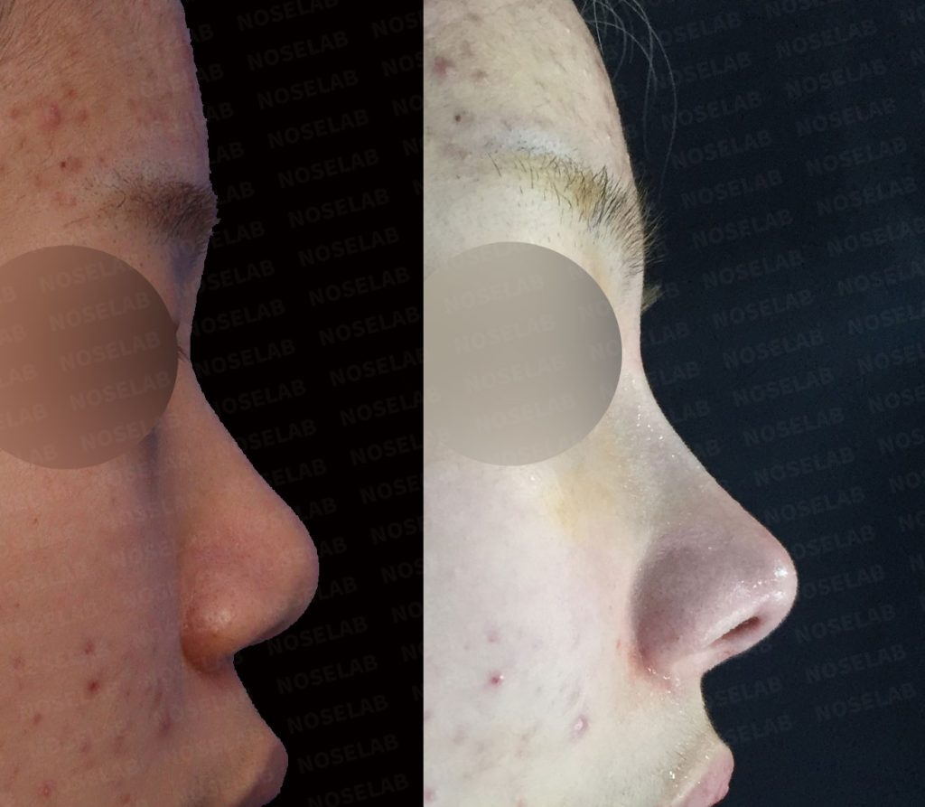
The patient above came to my clinic to correct the feeling of bulbous and spread. This is a picture of the face analysis during preoperative consultation. Due to severe facial asymmetry, the nose looked bent, and the nose was wide and the columella was greatly retracted, so the nose was more spread out from the front. In addition, there was a protruding mouth and a lot of nostrils were seen in the front.

This is a picture of the left side taken during the preoperative design consultation.
A surgical plan
To correct facial asymmetry, I planned to move the central axis of the face to the right 2mm, and I decided to come down the retracted columella to correct the nasolabial angle and improve the protruding mouth. I decided to reduce the base of the nose to improve the feeling of upturned and spreading.
A picture taken immediately after surgery

This is a picture right after the surgery. This is a picture that the patient agreed to.

This is a picture right after the surgery. This is a picture that the patient agreed to.

This is a picture right after the surgery. This is a picture that the patient agreed to.

This is a picture right after the surgery. This is a picture that the patient agreed to.
A general review
It is a surgery to correct the nose that appears to have a lot of wide nose and retracted columella. Rather than reducing the alar, raising the nose tip, the surgery to lower the columella was done, resulting in good results. The surgery to cut the alar should be very careful because it can lead to unresolved scars, smaller nostrils, and irreparable nostril asymmetry. Therefore, there are many cases where the retracted columella correction surgery and the nasal floor reduction surgery can produce good enough results.
Director of Nose Lab Kang Cha Young